
O PREFEITO MUNICIPAL DE SANTA LEOPOLDINA, ESTADO DO ESPÍRITO SANTO, faço saber que a Câmara Municipal aprovou e eu sanciono a seguinte Lei:
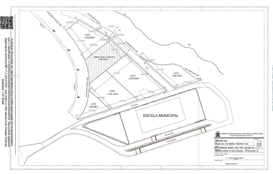
Art. 1º Fica o Poder Executivo Municipal autorizado a alienar, sob forma de doação, ao Estado do Espirito Santo, para uso do Ministério Público de Santa Leopoldina, um terreno medindo 2.000 m², em área pública na localidade de Cocal, neste Município, conforme planta anexa, parte integrante desta Lei.
Parágrafo único. Caso a construção citada no caput não se conclua no prazo de 05 (cinco) anos, contados a partir da publicação desta Lei, a área de terra urbana retornará ao patrimônio do Município de Santa Leopoldina.
Art. 2º A efetivação da doação mencionada no art. 1º desta Lei fica condicionada à prévia cessão de uso, seguida da doação definitiva, ao Município de Santa Leopoldina, do imóvel localizado na Avenida Prefeito Hélio Rocha, n° 1329, Centro, Santa Leopoldina/ES, CEP 29.640-000.
Art. 3º Esta Lei entra em vigor na data da sua publicação, revogadas as disposições em contrário.
Registre-se, Publique-se e Cumpra-se.
Santa Leopoldina/ES, 07 de julho de 2025.
Este texto não substitui o original publicado e arquivado na Prefeitura Municipal de Santa Leopoldina.
